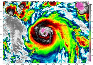
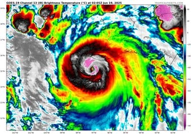
Uraganul Erick care s-a intensificat într-o furtună extrem de periculoasă, de categoria 4, se îndreaptă spre uscat, în largul coastelor Mexicului, a anunţat Centrul Naţional pentru Uragane din SUA (NHC), avertizând că ar putea avea loc o intensificare suplimentară înainte de atingerea ţărmului, relatează Reuters.
Uraganul era localizat la 145 km sud-est de Punta Maldonado, din Mexic, având rafale susţinute de vânt ce pot atinge 230 de km/h.
Dincolo de vântul distructiv, este de aşteptat ca Erik să aducă şi inundaţii rapide care pun viaţa în pericol, în unele părţi din sudul Mexicului. Furtuna ar urma să atingă uscatul în următoarele ore.
Erick va fi primul uragan care va ajunge în Mexic în acest sezon al uraganelor, care se desfăşoară din mai până în noiembrie. Meteorologii preconizează un sezon activ peste medie, cu între opt şi 11 uragane, dintre care patru până la şase vor atinge statutul de uragan major.


